VIABILITA' - Provvedimenti in vigore dalle 21:00 del 21 aprile alle 2:00 del 22 aprile 2026 a Ferrara
Rotatoria via Modena-via Marconi: modifiche alla viabilità per lavori notturni a cura di Hera
20-04-2026 / Giorno per giorno
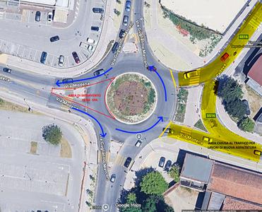
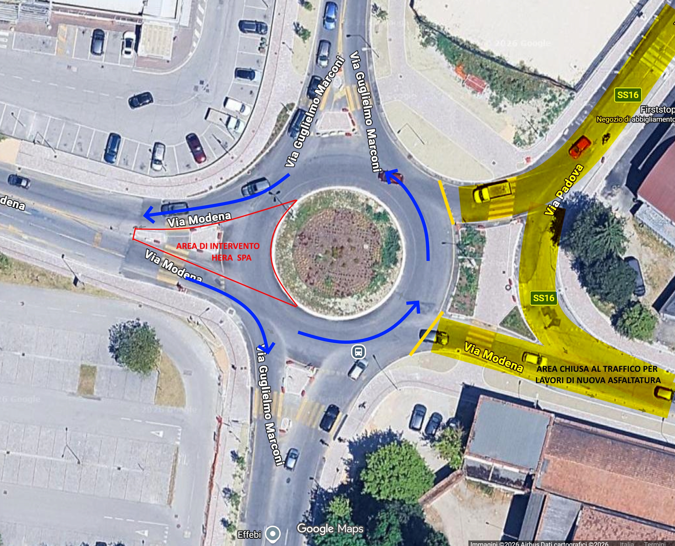
Nelle ore serali di martedì 21 aprile 2026, con inizio alle 21:00 e conclusione alle 2:00 di mercoledì 22 aprile, è prevista la chiusura al transito di parte dell'anello della rotatoria tra le vie Modena-Marconi, a Ferrara, per lavori ai sottoservizi da parte di Hera spa. Per ridurre i disagi alla circolazione dei cittadini, l'intervento è stato programmato in concomitanza con i lavori notturni, a cura del Comune di Ferrara, per l'asfaltatura del comparto Nord Ovest della città.
Per consentire l'esecuzione dei lavori a cura di Hera, sarà chiuso al transito il tratto dell'anello della rotatoria via Modena-via Marconi compreso tra l'uscita "via Modena - direzione Cassana" (esclusa) e l'ingresso "via Modena - provenienza Cassana" (escluso).
I veicoli che percorrono la via Marconi, con provenienza da via Michelini, saranno indirizzati verso la via Modena in direzione di Cassana. Per raggiungere via del Lavoro sarà necessario utilizzare le vie Schiavoni-Arginone-Trenti.
Saranno contestualmente chiusi, per via dei lavori di asfaltatura in corso, l’ingresso in rotatoria dalla via Padova provenienza via Maragno e l'uscita dalla rotatoria in via Modena direzione centro città.
In allegato la planimetria con l'indicazione (in blu) dei percorsi possibili nell'intersezione a rotatoria via Modena-via Marconi dalle 21:00 del 21 aprile alle 2:00 del 22 aprile 2026
Immagini scaricabili:


